News
-

I Found My Missing Childs Toy on the Road, Just a Few Houses Away from Where He Disappeared Five Years Ago
For five years, I lived with silence where laughter used to be. My little boy, Timmy—my Junebug—vanished one ordinary morning,…
Read More » -

Tragic End! Missing 18-Year-Old Found Dead After Days of Searching
After several days of desperate searching, the story of a missing 18-year-old has reached a heartbreaking end. What began as…
Read More » -

Bus Driver Kicked Me Out in the Cold After I Broke My Back Because of His Sudden Braking, But Soon, He Regretted It
My name is May. I’m seventy-three years old, and I thought I’d seen just about everything people were capable of—good…
Read More » -

You just knew this was coming, Pope Leo News!
White smoke billowed above the Vatican on Thursday evening, signaling to the world that the Catholic Church had chosen its…
Read More » -

Young entrepreneur missing 2 days ago is found in California, it was his own brother! See more
Two days after a young entrepreneur vanished without a trace, the story took a turn that no one could have…
Read More » -

For six months, I watched a stranger visit my late wifes grave!
For six months, I watched a stranger visit my late wife’s grave. Every Saturday, at exactly two in the afternoon,…
Read More » -

BAD NEWS FOR MICHAEL J FOX AFTER!!!
1. Where he stands now Fox is 64 years old, diagnosed with early-onset Parkinson’s disease in 1991 (aged 29). ABC+2Deseret…
Read More » -

I Brought My Son Hospital Bed To Work!
When I asked my boss for five days off because my son was in the ICU, fighting for his life,…
Read More » -

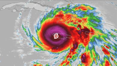
BREAKING NEWS Large Hurricane MELISSA CATEGORY 5 forming! See more!
Hurricane Melissa has carved its name into meteorological history, leaving devastation and awe in equal measure. Now officially classified as…
Read More » -

Harrys heartbreaking 7-word response to King Charles after being evicted from Frogmore Cottage
Prince Harry and Meghan Markle’s relationship with King Charles and the rest of the Royal Family has been strained for…
Read More »









